プレスリリース・お知らせ
「美ら海サンゴ大作戦2025」キャンペーン結果報告
沖縄県浦添市港川の海に160本の養殖サンゴを移植
~レンタカーご利用料金の1%をサンゴ育成活動に拠出~
2025年12月23日
オリックス自動車株式会社
株式会社パム
オリックス自動車株式会社(本社:東京都港区、社長:内藤 進)および株式会社パム(本社:沖縄県那覇市、社長:長嶺 由成)は、2025年4月1日(火)~9月30日(火)の期間、オリックスレンタカーのご利用料金の一部をサンゴ保全活動へ拠出する「美ら海サンゴ大作戦2025」キャンペーン※を実施し、このたび、拠出金の活用により養殖サンゴ160本の植え付けが完了しましたのでご報告します。
今回のキャンペーンは、パムが運営する旅行予約サイト「たびらい」を通じて、オリックスレンタカーのハイブリッド車をご利用いただいた料金の1%相当額を、両社が共同で拠出しました。拠出金をもとに、沖電開発株式会社(沖縄県浦添市)によって、160本の養殖サンゴの植え付けが行われました。
本取組は今回で13回目となり、サンゴの移植数は累計1,847本、拠出金の総額は7,430,184円となります。オリックス自動車とパムは、今後もサンゴの移植活動をはじめ、環境負荷低減に資するさまざまな社会貢献活動に取り組んでまいります。
※ 2025年3月5日付リリース:レンタカーで沖縄を旅して、未来の美ら海を育てよう「美ら海サンゴ大作戦2025」予約開始
■「美ら海サンゴ大作戦2025」キャンペーン結果報告
| 拠出金 | 874,556円(昨年725,084円) |
|---|---|
| 植え付け日 | 2025年12月2日(火) |
| 植え付け場所 | 沖縄県浦添市港川海域 |
■贈呈式の様子
2025年11月13日(木)、寄付金の贈呈式を実施しました。
参加者:右から
パム レンタカーチーム 中西裕亮、
沖電開発 総務企画部長 宮城学、
オリックス自動車 レンタカー本部 中園貴士
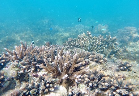
■植え付けを行ったサンゴの現在
2019年以降に植え付けをしたサンゴは、当初全長3cmほどだった個体が、最大で約20cmまで成長し、沖縄の海を鮮やかに彩っています。
お問い合わせ先
<本件に関するお問い合わせ先>
オリックス株式会社 グループ広報・渉外部 TEL:03-3435-3167
株式会社パム 広報担当 TEL:050-3850-8908
オリックス株式会社 グループ広報・渉外部 TEL:03-3435-3167
株式会社パム 広報担当 TEL:050-3850-8908
- このリリースのPDF版を見る
-
- PDF版 [317KB]
-
- 閲覧にはAcrobat Readerが必要です。お持ちでない方は「Adobe®のサイト
」から無料で配布されておりますので、そちらからダウンロードし、ご利用ください。
